2021天氣漸漸變熱...
清明兒童連假...
返鄉度假趣...
第一天還要值班...
寶島又有交通大事故...
下午返鄉交通行車過程特別的警醒...
一路來到東港鹽埔港...
最近半年特別喜歡從這兒回去...
因為好停車跟出入方便真的對我的返鄉行程很舒適...
所以都選擇從鹽埔港返鄉...
故鄉的海風...
回家的海路上...
看看交通的船運...
還有觀光來往的帆船遊艇...
這小島觀光蓬勃發展...
很多愛好水上水下活動的年輕夢想家移居這兒...
走回家的路上看到轉角有間小餐車...
很有特色呢才試營運第二天呢...
陽光熱情My Roll ing讚讚讚...
年輕有夢真的也是很不錯的啦...
感覺得有活力有夢想...
星期六這天一早...
熱力連假滿海都是人
今年度海水水溫開始回升...
今天當潛導帶2位Lady海中悠游...
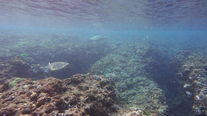
綠蠵龜龜們依然熱情...
但是就遠離了浮潛動線一點...
本來預計來找找傑尼龜...
這隻龍蝦洞海域礁坪很出名的綠蠵龜...
不過游來游去就是找不到...
牠還沒打算來找遊客交通一下...
不過還是有其他海龜可以欣賞...
享受大海綠蠵龜療癒心靈...
這早難得看到這兒海域魚多多...
可是水母也多多呢...
然後不知道為什麼水母總是會螫到我...
已經包全身了還是會被螫...
脖子處跟臉頰旁...
不過有美麗的好照片...
拍拍自由潛的朋友還有潛水的朋友...
揹氣瓶可以水下久久...
看他們可以拍拍十幾米深休息中的大海龜...
我要潛下去要練一下呀...
今天還要拖拉Lady游來游去就遠遠拍了...
清澈的藍海總是讓人很放鬆很心曠神怡...
今年入春後第一個連假...
清明兒童節出遊人潮也是噴出...
整個海面都是人潮...
還有很多遊艇從台灣本島來這兒度假...
這個假期也有獨木舟協會橫渡來玩...
午休後姪女想跟去找海龜...
所以下午場一樣帶著2位Lady來泡海水...
這日下午場兒童節...
持續潛島帶2位Lady海中悠游...
遠離人潮的海坪綠蠵龜滿滿...
陽光金色藍海找找大海龜老朋友...
水面水下都是人熱力四射...
下午場浮潛之旅看好看滿看過癮...
2021第一趟大海龜之旅...
回到港灣內曬曬午後陽光...
這人潮實在是誇張...
跟七八月暑假旺季一模一樣樣了...
水面水下都是人...
人比龜多而且是多很多...
很熱情的兒童節呢...
第三天依然人潮滿滿...
不過今天有點氣流...
天氣多雲水色濁濁...
厚石小灣水母也多多...
帶姪女來深水自由潛區...
不會怕水很有潛力...
玩水就是從小時候培養起...
今天就不找龜了...
看看人家玩自由潛...
回到內灣後小朋友自潛教學...
從閉氣開始...
現階段5秒不到...
所以自前的路上姪女還有很大的進步空間...
今天輕鬆玩水當褓姆了...
這趟回去...
還有艘交通船還沒搭過...
就是從大鵬灣往回班數不多的大鵬灣交通船...
有機會來測試這條航線看看...
比較偏觀光航線...
~2021 兒童節綠蠵龜大海逍遙遊碧海藍天分享~



沒有留言:
張貼留言