2024年5月9日 星期四

2024 東吉島薰衣草森林珊瑚礁



 


好久沒來到這片海了...
三年前來過一趟...
這次跳島夥伴就安排一起來深度小島...
從台南將軍港過來是最省時的方式...
就這樣來這小島住兩晚...
好好探索這小島海域...

Day.1 上午東吉東薰衣草森林
第一日抵達東吉島民宿後...
直接換裝翻山越嶺來到這片珊瑚海...
今年這小島感覺草很多綠油油的蠻好看的...
靠著直覺走到上回來上岸的沙灘邊...
就這樣下海找找紫色系的珊瑚礁了...
憑著記憶往中間那顆浮球浮潛過去...
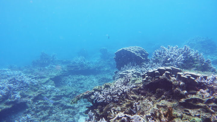
游著游著就看到紫色鹿角珊瑚了...
螢光的藍紫色的珊瑚跳在眼前...
活珊瑚的顏色就是這麼好看...









































看到有些潛水域的紫珊瑚有被踢斷的...
也有重生起來的總之還活著的紫珊瑚...
就是會好很多活意盎然...
也希望大家來這兒浮潛盡量漲潮時來...
如果退潮時就盡量別往淺水域去了...
深一點的紫珊瑚拍拍照就好...
讓這兒的珊瑚礁永續發展...
畢竟還活著的活珊瑚已經不多了...

























Day.1 下午-東吉東薰衣草森林
本來預定要去東吉西港口北浮潛生態調查看看...
就是東吉之眼前的那片珊瑚礁海域...
結果疫情期間島內觀光旅遊太發達...
遊客超多浮潛客也多聽說珊瑚礁最不耐的防曬乳...
也多多被遊客釋放到這兒...
所以這兒的珊瑚礁大量灰化死光光...
所以被國家公園劃設保護區暫停遊憩水域活動...
我們有到國家公園申請水域下水活動...
剛好有國家公園員工看到來提醒我們港口被不能下水了...
有點可惜這個點的珊瑚礁就無緣一見了...
只好又把裝備扛著再次翻山越嶺走到東吉東薰衣草森林了...






















































下午大退潮...
所以會在淺水域時在珊瑚礁附近...
提醒隊友盡量要在溝處...
然後盡量用手滑動飄移...
別用蛙鞋踢水避免踢到珊瑚礁...
早上場只有我們包場...
下午場有艘快艇載了一船SUP朋友...
來這兒浮潛體驗薰衣草森林耶...
我們習慣走登山路線到下水點...
就是從電信塔高點切西瓜下切下去...
這兒三天來走到熟門熟路...
從高點可以看到終於有其他組朋友來這片海域...
藍天綠地碧海陽光...












藍色珊瑚礁...
紫色薰衣草森林...
下午多拍些魚兒...
早上就碰到很多大鸚哥魚...
只是越大尾的越怕人...
不容易拍到...
下午加減拍...
今日還有sub浮潛的朋友...
很特別的一群...
玩SUP為主...
今天湧浪還有些...
所以這群體驗SUP朋友開放水域不容易站立...
他們就趴在水面上的SUP戴著蛙鏡趴著看...
水面上熱熱鬧鬧的...
好特別的看薰衣草森林珊瑚礁的方式呢...




























































Day.2 上午-東吉東薰衣草森林珊瑚礁
今日照樣來同一片珊瑚礁...
藍紫色的珊瑚實在太吸引人...
今天還有住宿同民宿的朋友...
另一團請教練帶團來找薰衣草森林...
今天是拍魚兒幸運的時候...
剛出去時在灣區靠北邊一點的一個流溝...
發現好大一群的鸚哥魚群...
停止動作慢慢飄過去還好沒有馬上四散...
第一次拍到這麼多又大又多的鸚哥魚群呢...


































今天往南一點...
軸孔珊瑚區漂亮魚兒多些...
蝶魚、胡椒鯛、鸚哥魚...
還有來這兒最主力的就是紫色珊瑚礁啦...
珊瑚礁游來游去...
有活珊瑚的浮潛起來很舒服的海域...
自由潛水拍拍海底世界...












































































Day.2 下午-東吉西港口南
與隊友心血來潮...
東吉西港口南露天垃圾場前浮潛生態調查看看...
就是東吉虎頭山石塔前的那片珊瑚礁海域...
今日海水清澈而且無浪水流平穩...
就下水來探探這片陌生的珊瑚礁海域了...
哇,這邊的珊瑚礁竟然大量灰化死光光...
水下魚兒還很多還有很多大尾鸚哥魚...
但是活珊瑚礁的覆蓋率真的很低...
感覺跟小琉球很像了...
可能不到一成的活珊瑚...
尋尋覓覓找不到整片健康的珊瑚礁聚落...
難怪都沒人拉到這邊來浮潛拍照...
看起來目前南方四島跟七美海域...
就東嶼坪西的那區的珊瑚礁多樣性與健康程度最美...
東吉西港口南端這片珊瑚礁真的要時間復育了...



























Day.3 上午-東吉東薰衣草森林珊瑚礁
最後一日收假日...
下回再來東吉島也不知道何時了...
當然要來把紫色珊瑚礁看一看...
今天選擇從薰衣草森林的海灣北邊下水...
看看這兒的海域跟礁岩狀況...
今天難得風平浪靜內灣水流平靜...
但是浮游生物滿滿的都是...
還有很多類似水母的整串...
超怕被電爆結果本來要游出去再往南薰衣草森林處...
可是這邊轉角處洋流水流較強...
拖著沒穿蛙鞋的隊友前進困難...
只好往回上岸走過去再重新下水了...
還好淺坪處珊瑚礁也是貧瘠...
所以還是回到原本的紫色珊瑚區最優...
今天又是我們這組包場啦...
大鸚哥魚還是很捧場游來游去的...







































今天往南那顆浮球前進生態調查...
過了薰衣草森林南邊...
到第三個內灣沙灘的礁岩前...
其實這兒的珊瑚礁也是覆蓋率不佳...
看來東吉好下水的休憩海域...
目前還是只剩下薰衣草森林這片珊瑚礁了...

























薰衣草森林南端一點點...
這兒有小片的淺盤軸孔珊瑚聚落...
這在東嶼坪是很健康的一大片一大片...
也是有段時間沒去考察了...
有機會再來安排東嶼坪住2晚的行程看看...
好好地把珊瑚礁做完生態調查...
這次的東吉島薰衣草森林珊瑚礁就在這兒美麗收尾...
真的很期待還有下回再來生態調查的機會...
拍拍這些美麗的紫色薰衣草珊瑚礁...





























































~ 2024 東吉島薰衣草森林珊瑚礁 藍紫海洋魅力分享 ~

沒有留言:

張貼留言